The phylogeny of leaf beetles (Chrysomelidae) inferred from mitochondrial genomes

The high-level classification of Chrysomelidae (leaf beetles) currently recognizes 12 or 13 well-established subfamilies, but the phylogenetic relationships among them remain ambiguous. Full mitochondrial genomes were newly generated for 27 taxa and combined with existing GenBank data to provide a dataset of 108 mitochondrial genomes covering all subfamilies. Phylogenetic analysis under maximum likelihood and Bayesian inference recovered the monophyly of all subfamilies, except that Timarcha was split from Chrysomelinae in some analyses. Three previously recognized major clades of Chrysomelidae were broadly supported: the ‘chrysomeline’ clade consisting of (Chrysomelinae (Galerucinae + Alticinae)); the ‘sagrine’ clade with internal relationships of ((Bruchinae + Sagrinae) + (Criocerinae + Donaciinae)), and the ‘eumolpine’ clade comprising (Spilopyrinae (Cassidinae (Eumolpinae (Cryptocephalinae + Lamprosomatinae)))). Relationships among these clades differed between data treatments and phylogenetic algorithms, and were complicated by two additional deep lineages, Timarcha and Synetinae. Various topological tests favoured the PhyloBayes software as the preferred inference method, resulting in the arrangement of (chrysomelines (eumolpines + sagrines)), with Timarcha placed as sister to the chrysomeline clade and Synetinae as a deep lineage splitting near the base. Whereas mitogenomes provide a solid framework for the phylogeny of Chrysomelidae, the basal relationships do not agree with the topology of existing molecular studies and remain one of the most difficult problems of Chrysomelidae phylogenetics.

Nie, Rui-e; Andújar, Carmelo ; Gómez-Rodríguez, Carola ; Bai, Ming; Xue, Huai-Jun; Tang, Min; Yang, Chen-Tao.; Tang, Pu; Yang, Xing-Ke; Vogler, Alfried P.

Systematic Entomology 45(1): 188-204 (2020)
DOIDigital.CSIC

Behavioural complementarity among frugivorous birds and lizards can promote plant diversity in island ecosystems

The behavioural complementarity of fruit-eating animals is thought to exert a key role in plant community assembly. However, a mechanistic understanding of the causal links between the two processes is still lacking. This study assesses whether complementarity between dispersers in feeding and microhabitat-use behaviour enhances community-scale dispersal services, resulting in a more diverse community of seedlings. We used a Bayesian approach to connect a comprehensive database of seed dispersal effectiveness at a community scale with a transition probability model that accounts for behavioural complementarity. Our model system was the thermosclerophyllous shrubland of the Canary Islands. There, fleshy-fruited plants rely on two types of frugivores: lizards and birds. Lizards consumed all plant species and preferentially used open areas, whereas birds foraged for small single-seeded fruits and dispersed their seeds beneath plants. Through feeding on different sets of plants, they generated a rich seed-rain community. By diversifying the microhabitat of deposition, more species could find suitable recruitment sites. Distinct foraging and microhabitat-use choices led to complementary dispersal services. Lizards ensured that all plant species were present in the seedling community, while birds promoted a more even distribution of them. As a result, diversity in the community of seedlings was enhanced. Overall, our work underscores that behavioural complementarity promotes diversity in the early-regenerating plant communities. These enhanced dispersal services rely on the presence of all functional groups. Thus, in communities where frugivores display unique behaviours, preserving a diverse community of dispersers should be a conservation target. A free Plain Language Summary can be found within the Supporting Information of this article.

Morán-López, Teresa; González-Castro, Aarón; Morales, Juan Manuel; Nogales, Manuel 

Functional Ecology 34(1): 182-193 (2020)
DOIDigital.CSIC

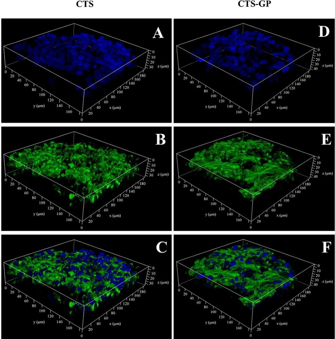
Biopolymer/Glycopolypeptide-Blended Scaffolds: Synthesis, Characterization and Cellular Interactions

Three-dimensional (3D) scaffolds formed from natural biopolymers gelatin and chitosan that are chemically modified by galactose have shown improved hepatocyte adhesion, spheroid geometry and functions of the hepatocytes. Galactose specifically binds to the hepatocytes via the asialoglycoprotein receptor (ASGPR) and an increase in galactose density further improves the hepatocyte proliferation and functions. In this work, we aimed to increase the galactose density within the biopolymeric scaffold by physically blending the biopolymers chitosan and gelatin with an amphiphlic β-galactose polypeptide (PPO-GP). PPO-GP, is a di-block copolymer with PPO and β-galactose polypeptide, exhibits lower critical solution temperature and is entrapped within the scaffold through hydrophobic interactions. The uniform distribution of PPO-GP within the scaffold was confirmed by fluorescence microscopy. SEM and mechanical testing of the hybrid scaffolds indicated pore size, inter connectivity and compression modulus similar to the scaffolds made from 100 % biopolymer. The presence of the PPO-GP on the surface of the scaffold was tested monitoring the interaction of an analogous mannose containing PPO-GP scaffold and the mannose binding lectin Con-A. In vitro cell culture experiments with HepG2 cells were performed on GLN-GP and CTS-GP and their cellular response was compared with GLN and CTS scaffolds for a period of seven days. Within three days of culture the Hep G2 cells formed multicellular spheroids on GLN-GP and CTS-GP more efficiently than on the GLN and CTS scaffolds. The multicellular spheroids were also found to infiltrate more in GLN-GP and CTS-GP scaffolds and able to maintain their round morphology as observed by live/dead and SEM imaging.

Dhaware, Vinita; Díaz Díaz, David ; Sen Gupta, Sayem

Chemistry - An Asian Journal 14(24): 4837-4846 (2019)
DOIDigital.CSIC

Heritage in danger. The collapse of commercial archaeology in Spain

As in most European countries and elsewhere, Spanish commercial archaeology is a business model based on the theoretical and technical principles of safeguarding heritage that thrived during the 1990s and 2000s. However, nearly half of the Spanish archaeological companies closed by 2014, stressing the drama associated with the redundancy of its workforce in a mere five-year period and the threat to heritage protection and management. The current context of global crisis has impacted this sector, which is on the brink of extinction. This emphasizes the need for a new paradigm of archaeological heritage management in the 21st century. This breakdown calls into question the extent to which archaeology can generate initiatives of sustainable heritage management. By analysing data derived from an empirical study of Spanish archaeological companies between 2009 and 2017, this paper explores the underlying factors behind the collapse of commercial archaeology. In doing so, it contributes to the current global debate about the future possibilities of heritage management in a post-industrial context.

Parga Dans, Eva

Archaeological Dialogues 26(2): 111-122 (2019)
DOIDigital.CSIC

Unifying macroecology and macroevolution to answer fundamental questions about biodiversity

The study of biodiversity started as a single unified field that spanned both ecology and evolution and both macro and micro phenomena. But over the 20th century, major trends drove ecology and evolution apart and pushed an emphasis towards the micro perspective in both disciplines. Macroecology and macroevolution re-emerged as self-consciously distinct fields in the 1970s and 1980s, but they remain largely separated from each other. Here, we argue that despite the challenges, it is worth working to combine macroecology and macroevolution. We present 25 fundamental questions about biodiversity that are answerable only with a mixture of the views and tools of both macroecology and macroevolution.

McGill, Brian J.; Chase, Jonathan M.; Hortal, Joaquín ; Overcast, Isaac; Rominger, Andrew J.; Rosindell, James; Borges, Paulo A.V.; Emerson, Brent C.; Etienne, Rampal; Hickerson, Michael J.; Mahler, D.Luke; Massol, Francois; McGaughran, Angela; Neves, Pedro; Parent, Christine; Patiño, Jairo; Ruffley, Megan; Wagner, Catherine E.; Gillespie, Rosemary

Global Ecology and Biogeography 28(12): 1925-1936 (2019)
DOIDigital.CSIC

Catalytic Hydrocyanation of Activated Terminal Alkynes

A universal, practical and scalable organocatalytic hydrocyanation manifold to provide ß¿substituted acrylonitriles bearing an electron¿withdrawing functionality has been implemented. The catalytic manifold operates under the reactivity generation principle ¿a good nucleophile generates a strong base¿, and it uses 1,4¿diazabicyclo[2.2.2]octane (DABCO) as the catalyst, activated terminal alkynes as substrates and acetone cyanohydrin as the cyanide source. The acrylonitriles obtained as E,Z mixtures are straightforwardly resolved by simple flash chromatography delivering the pure isomers in preparative amounts.

Tejedor, David ; Delgado-Hernández, Samuel; Colella, Lucía; García-Tellado, Fernando 

Chemistry - A European Journal 25(66): 15046-15049 (2019)
DOIDigital.CSIC

Niosomes encapsulated in biohydrogels for tunable delivery of phytoalexin resveratrol

A series of biohydrogels based on mixtures of kappa-carrageenan (κ-carrageenan, κ-C) and gelatin were evaluated as potential soft delivery vehicles for the encapsulation and subsequent release of non-ionic surfactant vesicles (niosomes) loaded with resveratrol (RSV). The niosomes were prepared using a mixture of amphiphilic lipids Tween 80 and Span 80 in water. The results showed that RSV-niosomes did not significantly affect the hydrogelation properties of the biopolymer mixture. Moreover, in vitro drug release experiments from biohydrogels containing RSV-niosomes were successfully carried out under simulated gastrointestinal conditions. The RSV-niosomal liberation profiles from hydrogels were fitted using first order kinetics, Higuchi, Korsmeyer-Peppas and Weibull drug release models, showing the prevalence of diffusion mechanisms in each case. In addition, the RSV release was easily tuned by adjusting the total concentration of κ-C : gelatin. Interestingly, the niosomal-hydrogel system was also found to prevent the trans-to-cis photoisomerization of RSV.

Machado, Noelia D.; Fernández, Mariana A.; Häring, Marleen; Saldías, César; Díaz Díaz, David

RSC Advances 9: 7601-7609 (2019)
DOIDigital.CSIC

Do mosses really exhibit so large distribution ranges? Insights from the integrative taxonomic study of the Lewinskya affinis complex (Orthotrichaceae, Bryopsida)

The strikingly lower number of bryophyte species, and in particular of endemic species, and their larger distribution ranges in comparison with angiosperms, have traditionally been interpreted in terms of their low diversification rates associated with a high long-distance dispersal capacity. This hypothesis is tested here with Lewinskya affinis (≡ Orthotrichum affine), a moss species widely spread across Europe, North and East Africa, southwestern Asia, and western North America. We tested competing taxonomic hypotheses derived from separate and combined analyses of multilocus sequence data, morphological characters, and geographical distributions. The best hypothesis, selected by a Bayes factor molecular delimitation analysis, established that L. affinis is a complex of no less than seven distinct species, including L. affinis s.str., L. fastigiata and L. leptocarpa, which were previously reduced into synonymy with L. affinis, and four new species. Discriminant analyses indicated that each of the seven species within L. affinis s.l. can be morphologically identified with a minimal error rate. None of these species exhibit a trans-oceanic range, suggesting that the broad distributions typically exhibited by moss species largely result from a taxonomic artefact. The presence of three sibling western North American species on the one hand, and four Old World sibling species on the other, suggests that there is a tendency for within-continent diversification rather than recurrent dispersal following speciation. The faster rate of diversification as compared to intercontinental migration reported here is in sharp contrast with earlier views of bryophyte species with wide ranges and low speciation rates.

Vigalondo, B.; Garilleti, R.; Vanderpoorten, A.; Patiño, Jairo; Draper, I.; Calleja, J.A.; Mazimpaka, V.; Lara, F.

Molecular Phylogenetics and Evolution 140: 106598 (2019)
DOIDigital.CSIC

A topoclimate model for Quaternary insular speciation

[Aim]: Understanding the drivers of speciation within islands is key to explain the high levels of invertebrate diversification and endemism often observed within islands. Here, we propose an insular topoclimate model for Quaternary diversification (ITQD), and test the general prediction that, within a radially eroded conical island, glacial climate conditions facilitate the divergence of populations within species across valleys. [Location]: Gran Canaria, Canary Islands. [Taxon]: The Laparocerus tessellatus beetle species complex (Coleoptera, Curculionidae). [Methods]: We characterize individual-level genomic relationships using single nucleotide polymorphisms produced by double-digest restriction site associated DNA sequencing (ddRAD-seq). A range of parameter values were explored in order to filter our data. We assess individual relatedness, species boundaries, demographic history and spatial patterns of connectivity. [Results]: The total number of ddRAD-seq loci per sample ranges from 4,576 to 512, with 11.12% and 4.84% of missing data respectively, depending on the filtering parameter combination. We consistently infer four genetically distinct ancestral populations and two presumed cases of admixture, one of which is largely restricted to high altitudes. Bayes factor delimitation support the hypothesis of four species, which is consistent with the four inferred ancestral gene pools. Landscape resistance analyses identified genomic relatedness among individuals in two out of the four inferred species to be best explained by annual precipitation during the last glacial maximum rather than geographic distance. [Main conclusions]: Our data reveal a complex speciation history involving population isolation and admixture, with broad support for the ITQD model here proposed. We suggest that further studies are needed to test the generality of our model, and enrich our understanding of the evolutionary process in island invertebrates. Our results demonstrate the power of ddRAD-seq data to provide a detailed understanding of the temporal and spatial dynamics of insular biodiversity.

García-Olivares, Victor; Patiño, Jairo; Overcast, Isaac; Salces-Castellano, Antonia; López de Heredia, Unai; Mora-Márquez, Fernando; Machado, Antonio; Hickerson, Michael J.; Emerson, Brent C.

Journal of Biogeography 46(12): 2769-2786 (2019)
DOIDigital.CSIC

Graminoid invasion in an insular endemism hotspot and its protected areas

Invasive plant species are increasingly altering species composition and the functioning of ecosystems from a local to a global scale. The grass species Pennisetum setaceum has recently raised concerns as an invader on different archipelagos worldwide. Among these affected archipelagos are the Canary Islands, which are a hotspot of endemism. Consequently, conservation managers and stakeholders are interested in the potential spreading of this species in the archipelago. We identify the current extent of the suitable habitat for P. setaceum on the island of La Palma to assess how it affects island ecosystems, protected areas (PAs), and endemic plant species richness. We recorded in situ occurrences of P. setaceum from 2010 to 2018 and compiled additional ones from databases at a 500 m × 500 m resolution. To assess the current suitable habitat and possible distribution patterns of P. setaceum on the island, we built an ensemble model. We projected habitat suitability for island ecosystems and PAs and identified risks for total as well as endemic plant species richness. The suitable habitat for P. setaceum is calculated to cover 34.7% of the surface of La Palma. In open ecosystems at low to mid elevations, where native ecosystems are already under pressure by land use and human activities, the spread of the invader will likely lead to additional threats to endemic plant species. Forest ecosystems (e.g., broadleaved evergreen and coniferous forests) are not likely to be affected by the spread of P. setaceum because of its heliophilous nature. Our projection of suitable habitat of P. setaceum within ecosystems and PAs on La Palma supports conservationists and policymakers in prioritizing management and control measures and acts as an example for the potential threat of this graminoid invader on other islands.

Walentowitz, Anna J.; Irl, S.D.H.; Acebedo Rodríguez, Aurelio Jesús; Palomares-Martínez, Ángel; Vetter, Vanessa; Zennaro, Barbara; Medina, Félix M. ; Beierkuhnlein, Carl

Diversity 11(10): 192 (2019)
DOIDigital.CSIC